Una de las preguntas más frecuentes entre los ganaderos que desconocen o confunden el Pastoreo Racional Voisin (PRV) con los métodos de rotación tradicional es: ¿Por qué razón en PRV no se puede hacer la rotación de potreros en forma ordenada y sucesiva? y/o ¿Cuándo se debe ingresar el ganado a un potrero para que consuma siempre alimento de buena calidad?
El Dr. Pinheiro, fundador del PRV y escritor del libro "Pastoreo Racional Voisin - Tecnología Agroecológica Para el Tercer Milenio", nos explica claramente cómo se rota el ganado en PRV con base en las leyes universales del pastoreo de Voisin. En este artículo, haremos una explicación muy resumida sobre rotación de potreros implementando la técnica del PRV y con lo cual daremos una respuesta clara y contundente a las dos peguntas planteadas inicialmente.
En la ganadería tradicional y convencional, se acostumbra hacer una rotación de potreros de forma totalmente ordenada, es decir, que el ganado pasa de un potrero al siguiente, que es el que está contiguo al de donde el ganado acaba de terminar el pastoreo. Así pues, podemos ilustrar la rotación de las ganaderías convencionales de manera general con este gráfico:
Gráfico 1. Orden consecutivo en rotación de potreros en pastoreo convencional
Suponiendo que una determinada finca está dividida en 8 potreros, y que cada potrero es pastoreado durante 7 días, esta ganadería tendría un tiempo de reposo por potrero de 42 días ya que 7 potreros descansan mientras uno está ocupado con el ganado en pastoreo. Esto, de por si, ya da cuentas del típico manejo convencional, pero, además de tener tiempos de ocupación muy largos, el ganado se mueve del potrero 1 al 2, del 2 al 3, del 3 al 4 y así sucesivamente hasta pasar del potrero 8 al 1 para reiniciar el ciclo de pastoreo en rotación.
Esto es a lo que llamamos una rotación ordenada, es decir, que lleva un orden consecutivo en el pastoreo, orden que el ganadero considera inalterable. No todas las fincas tradicionales trabajan así, pero si la mayoría, y aquellas que no lo hacen de esta manera, dejan que sea el mayordomo quien decida a qué potrero trasladar el ganado según sea su antojo, e incluso, varían los tiempos de ocupación y descanso como mejor les parezca, de modo que hay potreros que llegan a tener reposo muy cortos de hasta 15 días o menos, y ocupaciones que a veces superan hasta los 15 días de pastoreo en un mismo potrero, lo cual es mucho peor que lo anterior.
El ganadero se preguntará entonces, ¿qué tiene de inapropiado hacer una rotación de potreros en orden consecutivo?
La explicación es simple, observe:
Gráfico 2. Potreros en rotación tradicional vs. Clima predominante durante la ocupación
En esta ilustración, cada cuadrícula representa un potrero y cada variedad del color verde representa un estado de recuperación diferente a los demás en cada potrero. Mientras más oscuro el verde, significa que mejor ha sido la recuperación y más avanzado está el desarrollo, y mientras más pálido, significa que el estado de recuperación está más retrasado y la oferta forrajera por tanto es menor, tanto en cantidad como en calidad.
Obsérvese también como para cada cuadrícula se indica el tiempo que ha transcurrido después de haber sido pastoreado cada potrero, y el clima que predominaba durante la semana en que fue pastoreado por el ganado. Con estas indicaciones se quiere decir, que el clima (temperatura, régimen de lluvias, opacidad por nubosidad, radiación solar, fuerza de los vientos, y demás), A DIARIO va cambiando, de tal manera que el clima de hoy no es igual al de ayer y tampoco es igual al de mañana.
Impacto de los factores ambientales que predominan al inicio del rebrote
Bien sabemos que todos los factores climáticos tienen una alta influencia sobre el desempeño fisiológico de los vegetales, entre ellos los pastos. Así pues, cuando el cielo está despejado, la radiación solar se proyecta directamente, sin obstáculo alguno (excepto la sombra de los árboles) sobre la pastura, y con ello habrá una fotosíntesis más intensa, por lo tanto habrá mayor celeridad en el crecimiento y desarrollo de la pastura. En cambio, en un día nublado, sin lluvia, la radiación solar tendrá menor intensidad y por ende la fotosíntesis será más discreta, y así mismo el desempeño de la planta. Y en los días lluviosos, la fotosíntesis estará sumamente reducida.
Ahora, hay que destacar, que el rebrote de una pastura comienza INMEDIATAMENTE después que ha sido cosechada por el diente del animal. Para comprenderlo utilicemos un ejemplo análogo, supongamos que nos causamos una herida en la piel, el proceso de cicatrización inicia desde el mismo momento en que se produce el sangrado, ya que ese sangrado una vez se coagula formará un tapón, que con el paso del tiempo formará una costra, y simultáneamente las células van regenerando el tejido hasta que llega el día en que se cae la costra y la herida habrá cerrado y nueva piel habrá sido formada. De la misma manera, cuando el ganado revienta el pasto al tirar de el con su lengua, se produce una herida que INMEDIATAMENTE la planta intentará sanar. Así pues, con el paso de los días, la herida se habrá cerrado y simultáneamente la planta habrá regenerado tejidos para su rebrote, aunque no desde la misma herida sino desde los nudos de los tallos.
Por lo tanto, el clima que predomina el mismo día que esa planta fue herida y está intentando regenerarse (rebrote), tendrá un impacto tremendo sobre su posterior desarrollo. Así pues, si las condiciones ambientales cuando la planta inicia su rebrote son favorables, la pastura se va a desarrollar rápidamente, pero si las condiciones al momento de iniciar el rebrote son adversas, la planta tardará mucho más en recuperarse.
En resumen, en el desempeño de una planta son importantes los cambios en los factores climáticos durante su crecimiento y desarrollo, pero son trascendentales de manera especial los factores de clima predominantes al inicio del rebrote, ya que según con el vigor que inicie el rebrote serán también las etapas posteriores de recuperación durante el reposo de la pastura; si el rebrote es muy vigoroso al inicio, la planta mantendrá ese vigor durante todo el tiempo del reposo, pero si su vigor es débil al inicio, difícilmente la planta podrá tener un óptimo desempeño fisiológico en las etapas siguientes de su recuperación.
Cantidad y calidad de la pastura al ingresar el ganado al potrero en pastoreo convencional
Conforme a lo anterior, podemos deducir, que la recuperación de una pastura hasta alcanzar el punto óptimo para una nueva cosecha, más allá del factor tiempo está influenciada por los factores bióticos y abióticos en el ambiente que predomine durante su reposo. Por consiguiente, ocurrirá que para dos potreros contiguos cuyo tiempo de reposo es casi el mismo, su estado de desarrollo puede ser muy diferente, e incluso, puede estar más próximo al punto óptimo de cosecha el que menos tiempo lleva en reposo que aquel que lleva más tiempo en reposo.
Es decir, que si el ganadero considera que con el solo hecho de garantizar que un potrero de un pasto determinado del que ha escuchado que requiere de 45 días de reposo para volver a ser cosechado, ha descansado exactamente los 45 días, y con eso obtendrá de él su mejor calidad y cantidad, está muy equivocado, porque el asunto no es de tiempo. Cabe la posibilidad que permitiendo 45 días de reposo el pasto se haya pasado de tiempo para la cosecha y se ha lignificado para entonces, perdiendo así calidad nutricional y cantidad en la oferta forrajera, o el caso opuesto, que llegados los 45 días aún no esté listo para la cosecha dado que no ha logrado su nivel de madurez apropiado. Por consiguiente, en la ganadería convencional se comete el error de dar la prioridad al tiempo, y con ello estamos obligando al ganado a consumir el pasto en el estado de calidad en que se encuentre, sea pasado o inmaduro, con lo que consecuentemente el ganado no tiene una correcta nutrición y por tanto su desempeño productivo (ganancia de peso, producción de leche o reproducción).
El punto óptimo de reposo es el mejor indicador para pasar de un potrero a otro
Es por ello, que Pinheiro basado en las leyes universales de Voisin propone que el ganado debe saltar de potrero sin seguir un orden estricto, pasando siempre del potrero que ha pastoreado al potrero que según las observaciones visuales ha podido reunir unas características que dan cuenta de su óptimo estado de calidad, aunque ese potrero no sea el contiguo. A este estado de la pastura Voisin lo ha denominado como el punto óptimo de reposo (P.O.R.), el cual varía para cada especie de pasto y para cada región del planeta donde se le cultive, según los factores ambientales que predominan durante su reposo. Esta es una de las razones fundamentales por las que la técnica del PRV tiene la capacidad absoluta de adaptarse a cualquier ecosistema de pastura, dado que el principio del P.O.R. tiene aplicación UNIVERSAL, y con base en ello es que se deducen dos de las cuatro leyes universales de Voisin para el pastoreo, la ley de la ocupación y la ley del descanso de una pastura.
Ahora, la pregunta aquí es ¿cuándo ingresar el ganado a un potrero?
Para esto, Voisin se basa en lo que denomina "la sigmoidea", que no es otra cosa que la curva de crecimiento histórico de cada pastura.
En la geometría básica que se nos instruye en el colegio, nos enseñan a manejar el concepto del plano cartesiano, el cual consta de dos ejes, uno horizontal (eje X) y otro vertical (eje Y) que se cruzan en un punto determinado, conocido como el "punto cero" u "origen de coordenadas". Este tipo de plano nos permite graficar las estadísticas históricas de un determinado suceso, de tal forma que cada uno de los ejes representará una unidad de medición o coordenada, por ejemplo, el crecimiento de un ser vivo se puede expresar de dos maneras clásicas, por talla (altura) o por peso, pero, sea por talla o peso, esa unidad de medida se supone que va en aumento con el transcurso de un tiempo. Es decir, a medida que avanza el tiempo, el ser vivo objeto de la medición aumentará su talla y/o peso avanzando en su crecimiento. Así, si queremos saber la variabilidad en la ganancia de peso o aumento de la talla en cada momento específico del proceso de crecimiento, se hace más fácil si en vez de números podemos visualizarlo en un gráfico.
Para obtener el gráfico, se hace necesario crear un sistema de coordenadas, que no es otra cosa que las unidades de tiempo en relación con su correspondiente unidad en peso o talla. Para el ejemplo a continuación trabajemos solo con las unidades de tiempo vs. peso, y supongamos que mediremos el crecimiento progresivo de una determinada pastura.
Tomemos como punto cero u origen de coordenadas, el día en que el ganado sale del potrero, al que denominaremos como día cero. En el potrero ha de quedar una reserva así que si hacemos un aforo para determinar el peso de la pastura en el día cero, de seguro la unidad de peso no será cero, sino que muy probablemente será algo así como unos 300 gr. por cada metro cuadrado de superficie. En los días sucesivos de reposo de la pastura, esta se va a ir recuperando ganando peso, y supongamos que haciendo aforos cada 5 días logramos obtener los siguientes registros:
Tabla 1. Coordenadas: Pesos y ganancias de un pasto en el tiempo de reposo
Gráfico 3. La sigmoidea o curva de crecimiento de un pasto
Nótese en estos gráficos como al llevar al plano cartesiano las coordenadas de peso y ganancias de peso con relación a los días de reposo transcurridos en el pasto, se obtienen las denominadas curvas de crecimiento, y como estas líneas tienen forma de "s" alargada, de donde toman el nombre de "sigmoideas", pues esta palabra significa "en forma de s".
Explica Pinheiro, que Voisin observó las sigmoideas de diversos pastos en diferentes tiempos y bajo diversas condiciones ambientales, y que con base en estas observaciones concluyó que todos los forrajes (gramíneas y demás vegetales que el ganado consume) tienen un crecimiento lento al inicio del rebrote, pero luego llega un momento en el que el crecimiento se dispara hasta alcanzar un pico de crecimiento (el punto más alto en la curva o sigmoidea) después del cual el crecimiento se hace lento de nuevo hasta producir la inflorescencia o reproducirse. A esta explosión repentina en el crecimiento y desarrollo del vegetal, Voisin lo definió como la "llamarada del crecimiento".
Si observamos analíticamente las sigmoideas de estos gráficos, podemos notar como hasta el día 20 la planta tiene un crecimiento discreto, registrando un peso de 470 gr./m2 (ver tabla 1) que equivale a una ganancia diaria de peso promedio de 13,5 gr./día (470 - 200 = 270 ÷ 20 días = 13,5 gr./día), pero a partir del día 20 se produce un crecimiento más acelerado registrando el pico más alto de la ganancia de peso al día 45, de tal manera que la ganancia de peso promedio entre el día 20 y el día 45 es de 103,2 gr./día (7,6 veces más alta que la registrada en los primeros 20 días de rebrote). De ahí en adelante, la ganancia de peso se torna de nuevo lenta y se suspende con la inflorescencia, momento para el cual la pastura ha enviado todos los nutrientes a la reproducción, por lo cual la planta se ha lignificado y ha decrecido en calidad nutricional.
Si el ganadero decide ingresar el ganado al potrero antes de llegar al día 45 (en este caso), interrumpe la llamarada de crecimiento, y de esta manera la pastura no es aprovechada como es debido. Y así mismo, si el ganadero decide ingresar el ganado al potrero entre el día 50 y 60, entonces muy probablemente el pasto se haya pasado de su P.O.R.
Ahora, no podemos perder de vista, que la sigmoidea que vemos en el gráfico corresponde a los aforos realizados en un momento específico bajo unas condiciones de ambiente muy específicas para ese momento. Por lo tanto, si en la misma pastura se hiciera de nuevo esta medición, debido a que tal medición no se puede hacer en el mismo momento sino en un momento diferente y bajo condiciones de ambiente diferentes, los resultados serían distintos y la sigmoidea también será diferente. Dicho de otra manera, si las condiciones de ambiente son favorables para producir un rebrote vigoroso desde el inicio, la sigmoidea será más corta (tendrá más forma de "s"), lo cual quiere decir que el P.O.R. se producirá antes de los 45 días, pero, si las condiciones de ambiente son adversas al inicio del rebrote, la sigmoidea será más alargada (tendrá menos forma de "s" y tendencia a ser una línea semirrecta), lo cual significa que el P.O.R. se producirá después de 45 días.
Es por esta razón que cuando la pastura dispone de agua lluvia durante su reposo, el P.O.R. es a menor edad que si la misma pastura afronta un verano intenso y prolongado, cuando el P.O.R. se va a presentar a edades más tardías. De la misma manera, si el suelo es fértil (potente biocenosis) el P.O.R. se presenta a una edad más temprana que si el suelo es subfértil o infértil (biocenosis poca o nula).
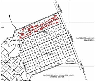
En conclusión, el ganado debe consumir la pastura únicamente cuando se haya presentado el P.O.R., ni antes ni después, ya que el P.O.R. coincide con la mayor oferta de forraje en cantidad y de la mejor calidad nutricional, con lo que el ganado se nutre bien y produce bien. Ahora, aclaremos que el P.O.R. no ocurre en un día específico, sino en un rango de días, por lo que el ganadero tiene oportunidad que si dos o más potreros llegan al P.O.R. casi en simultánea, se puede dar prioridad al potrero que lo alcanzó primero y seguir el pastoreo en el orden en que se vaya dando el P.O.R. de cada potrero, que CASI NUNCA coincide con los potreros contiguos. Así pues, Pinheiro describe este manejo del pastoreo como un juego de ajedrez (se mueve una pieza pensando en el resultado o efecto que producirá dos o tres jugadas más adelante), mientras Voisin lo define como un verdadero arte, el "arte de saber saltar". En consecuencia, jamás hay un orden predeterminado para el uso de los potreros y por ende la elección del potrero a utilizar no está condicionada a su ubicación sino al P.O.R. En PRV entonces, es el pasto quien siempre dice cuando debe ser pastoreado y por esta misma razón es que en PRV los caminos entre potreros son fundamentales, ya que el ganado NUNCA debe pasar por encima de los potreros que están en reposo, porque de hacerlo afectará la sigmoidea. Veamos un ejemplo gráfico de lo que sucede en una ganadería que implementa PRV (las flechas indican el orden de pastoreo que se siguió saltando potreros durante una rotación - ese orden cambia cada vez que la rotación inicia de nuevo):
Gráfico 4. Saltando potreros en PRV

El principal indicador del P.O.R. es el progreso de la lignificación del pasto en cada potrero, pues cuando el pasto ha alcanzado su punto de madurez fisiológica, inmediatamente se hacen evidentes los síntomas de esa madurez, comenzando a lignificarse el pasto en la base del tallo y avanzando con el paso de los días hacia arriba hasta que la planta produce inflorescencia, y en lo adelante se va lignificando el resto de la planta. La lignificación afecta la disponibilidad de nutrientes y hace que el ganado no pueda digerir el pasto correctamente, de ahí que se debe evitar un estado avanzado de lignificación, pero cuidando de no ofrecer el pasto muy biche para no intoxicar al ganado. Estos síntomas, por supuesto son más fáciles de demostrar en campo que por escrito. Por eso cada ganadería debe capacitar muy bien al "pastor" que se encargará de elegir a qué potrero saltar cada día, para que siempre el ganado pastoree potreros en su P.O.R., ya que el P.O.R. siempre estará variando según la especie de pasto y las condiciones de ambiente que predominen.
Finalicemos este artículo mencionando, que el PRV es una técnica para el manejo de las pasturas, bajo principios que tienen aplicación universal. Eso quiere decir, que no importa cual sea la especie de pasto a la que hagamos referencia ni en qué región del mundo se encuentre, aplicando los principios que establece el PRV siempre se podrá lograr el más idóneo manejo de las pasturas, dado que la ejecución del PRV se ajusta con precisión a los factores de ambiente que impacten el desempeño de cada pastura dondequiera que se encuentre y se ajusta también a la especie de pasto que se disponga en cada ganadería. Y vale mucho la pena decir, que PRV es exitoso en la medida que TODOS sus principios se apliquen de la manera correcta, porque si se practican estos principios de forma parcial, combinando PRV con las prácticas tradicionales de ganadería, el éxito de PRV tambalea y el fracaso está a la vuelta de la esquina.